
RANDOLPH — Randolph Police Chief William Pace reports that a lengthy investigation by the Quincy Police Department has cleared a Randolph Police officer of wrongdoing after the officer accidentally struck a pedestrian while the officer was en route to a domestic violence call in August.
The Randolph Police Department has been transparent and forthcoming with the release of records and audio recordings generated by the Aug. 25 incident. The department has previously released all police radio transmissions from the evening and all 911 calls relating to the incident.
The Quincy report can be downloaded HERE. It is being released to the public with only legally-required redactions.
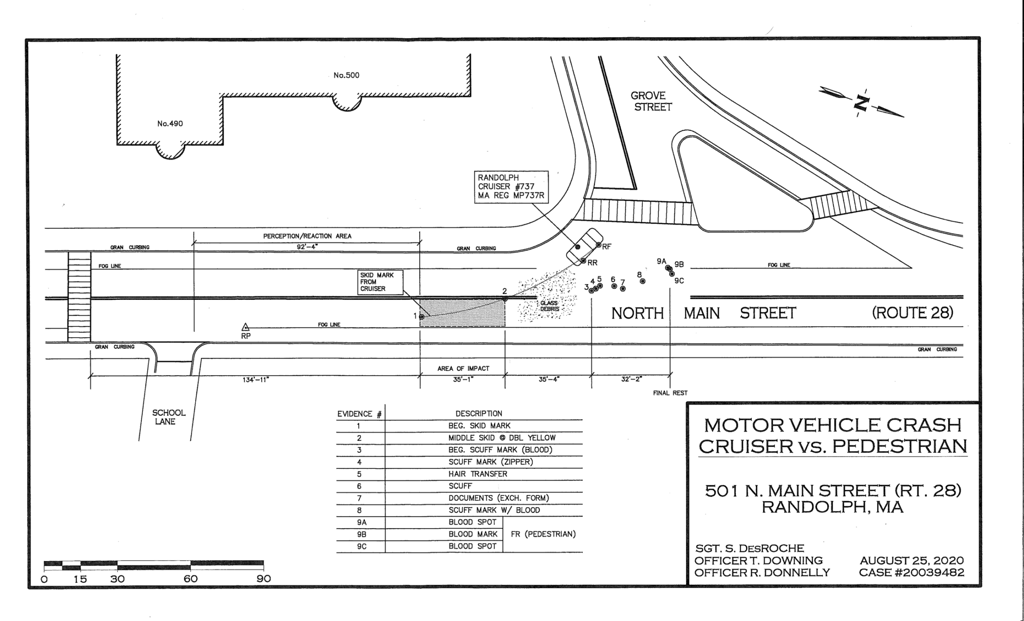
The report found that the officer braked hard and attempted to steer away from the pedestrian before the crash. The report stated that “this crash was unavoidable and further resulted in non-fatal injuries to [the pedestrian] due to the quick and decisive actions made by [the officer] that evening.”
Additionally of note, the Quincy investigation concluded the following facts:
- The pedestrian was attempting to cross the roadway outside of a crosswalk at the time
- The officer had properly activated his emergency lights and siren as he was responding to an emergency call for service
- The cruiser was traveling approximately 42 mph and the officer was operating the cruiser in a “safe and controlled manner” before the accident
The investigator noted in the report that he met with the accident victim as part of the investigation, but that the victim refused to provide a statement to the investigator.
“This was a deeply unfortunate accident, but it is clear from the outside agency’s report that the accident was unavoidable, and that our Randolph Police Officer made a concerted effort to avoid the crash, which may have made the difference between life and death,” Chief Pace said. “We deeply appreciate the diligence and hard work of the Quincy Police Department in their findings of fact in this matter.”
With the filing of the report, the criminal investigation is now closed.
The Randolph Police Department is also awaiting the results of an external administrative review of the totality of incidents and circumstances on Aug. 25, including the pedestrian’s prior motor vehicle crash.
###
Discover more from John Guilfoil Public Relations
Subscribe to get the latest posts sent to your email.